Твоё путешествие по Великому Шёлковому Пути

Информация

Запрос

WildTicket Asia » Казахстан » Природа Казахстана » Костанайская область » Уштогайский квадрат, геоглиф в Костанайской области, Казахстан.

Уштогайский квадрат, геоглиф в Костанайской области, Казахстан.


Уштогайский квадрат - путешествия на геоглифы Казахстана.

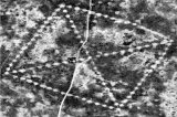
Уштогайский квадрат это геоглиф представляет из себя геометрическую фигуру в форме квадрата и креста внутри, который соединяет углы этого квадрата. Вся геометрическая форма состоит из 101 насыпи, насыпи напоминают собой небольшие курганы, которые располагаются на небольшом расстоянии друг от друга. Уштогайский квадрат был найдет на территории Костанайской области, рядом с селом Уштогай, в Амангельдинском районе, республика Казахстан.

Уштогайский квадрат-геоглиф информация для туриста.

Размеры квадрата следующие, сторона одной стороны квадрата составляет 287 метров, примерно в 100 метрах от самого квадрата расположены три кольца, размер каждого кольца 20 метров, так же здесь была обнаружена насыпь диаметром 18 метров. Исследователи предположили что если кольца насыпь и сам Уштогайский квадрат это одна геометрическая фигура тогда ее размер составляет примерно 650 метров в длину.

Уштогайский квадрат-геоглиф как добраться.

Найти и посмотреть Уштогайский квадрат очень просто. Для начала Вам необходимо находится на территории Казахстана а далее наша компания организует полный комплекс услуг по посещения данного обьекта.

Уштогайский квадрат-геоглиф информация.

Казахские геоглифы-рисунки приравнивают к рисункам на плато Наска в Перу, казахские рисунки такие же загадочные и не повторимые. С поверхности увидеть их довольно трудно, видно их с большой высоты, фотографирование возможно провести с дрона. Возраст объектов предположительно от 2 до 10 тысяч лет. Уштогайский квадрат создан людьми и считается рукотворным.

Фотогалерея:

Оставить комментарий

Навигация x